Светофоры, островки и полосы для поворота появятся после реконструкции перекрёстка на Патрокле

В Центре организации дорожного движения рассказали, как изменится перекрёсток на Патрокле по новому проекту. Здесь установят светофоры, расширят проезжую часть за счёт полос для поворота, сделают направляющие островки, построят тротуар и нарисуют пешеходный переход.

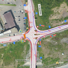
Как сообщает ЦОДД, движение на перекрёстке улиц Новороссийской и Басаргина будет полностью регулироваться светофорами. Изменится и ширина проезжей части – для поворотов с разных направлений перекрестка будут предусмотрены отдельные полосы.

Так, при движении к перёкрестку со стороны Борисенко в границах проектирования ширина проезжей части будет расширена до четырёх полос шириной 3,25 метра. При движении со всех остальных направлений – до трёх полос шириной от 3 до 3,5 метра.

При подъезде с трассы Седанка – Патрокл со стороны Фадеева появятся три направляющих островка. Они разделят транспортные потоки, а также станут местом установки светофоров.

Вдоль улицы Басаргина около торгового центра «Патрокл» будет обустроен тротуар, а на улице Новороссийской появится пешеходный переход. Как уточнили специалисты, тротуары на Новороссийской предусмотрены другим проектом, который охватит улицы Сочинскую, Архангельскую и Североморскую.

«После реконструкции мы ожидаем, в первую очередь, повышение уровня безопасности дорожного движения, а также удобства проезда – за счёт светофорного регулирования и организации дополнительных полос для поворота. Это позволит исключить конфликты между транспортными потоками и сделать манёвры более предсказуемыми для водителей», – прокомментировала Анастасия Галкина, специалист по разработке проектов ЦОДД.


Обсудить в Telegram
Текущий проект — newsvl.ru Проект 2023 года — newsvl.ru
Текущий проект — newsvl.ru Проект 2023 года — newsvl.ru
Информация на этой странице взята из источника: https://www.newsvl.ru/vlad/2025/02/17/229902/