Как обработать деревья, чтобы избавиться от вредителей и болезней

С какими болезнями и вредителями справится обработка сада

Садовые деревья чаще всего страдают от бактериоза и грибковых заболеваний: парши, цитоспороза, монилиоза, бурой пятнистости листьев, мучнистой росы и чёрного рака. Эти болезни всегда видны невооружённым глазом и могут проявляться на разных этапах развития растения.

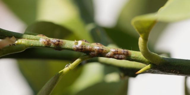
Самые распространённые насекомые-вредители — майский хрущ, тля, зимняя пяденица, щитовка, моль, плодожорка, пилильщик, цветоед, кольчатый шелкопряд, а также муравьи. Личинки многих из них способны перезимовать в тканях дерева.

Поэтому важно проводить комплексные обработки сада от всех вредителей и возбудителей заболеваний.

Когда проводить обработку сада

Болезни и вредители начинают просыпаться с наступлением первого весеннего тепла, поэтому нужно сработать на опережение и приступить к обработке сада как можно раньше. Конкретные сроки зависят от региона, поэтому ориентируйтесь на температуру воздуха.

Для лучшего эффекта нужно провести четыре обработки. Если вы пропустили одну или несколько процедур, всё равно постарайтесь опрыскать деревья в зависимости от стадии вегетации. Лучше сделать это хотя бы раз, чем не сделать вовсе.

Болезни и вредители, к сожалению, могут атаковать деревья, несмотря на профилактические обработки. Если вы заметили их присутствие в саду, проведите внеплановое опрыскивание, выбирая препарат в зависимости от проблемы.

Пока почки на деревьях спят

Фото: VICTOR1954 / Shutterstock

Первое опрыскивание проводят уже при 4 градусах выше ноля, даже если не сошёл снег. Деревья и личинки вредителей ещё спят, а вот возбудители грибковых болезней уже начинают активничать после зимовки. Так что нужно обработать сад от споров гнилей, парши, монилиоза, цитоспороза, чёрного рака, бактериоза и других заболеваний.

Почки уже набухли, но листьев ещё нет

Фото: Yulia YasPe / Shutterstock

Это состояние называют ещё «зелёным конусом». Тут нужно не только провести повторное опрыскивание для профилактики грибковых инфекций, но и обработать сад от вредителей — они уже начали просыпаться.

На ветках появились розовые бутоны

Фото: Виктория Курачёва / Лайфхакер

Нужно не упустить момент и провести третье опрыскивание до того, как дерево начнёт цвести. Обработка раскрывшихся цветов может погубить пчёл, поэтому приступайте к процедуре, как только на ветках наметились розовые почки. На этот раз борьба направлена против вредителей, которые откладывают личинки прямо в бутоны и способны испортить весь будущий урожай.

Завязи достигли размера горошины

Фото: gorwol / Shutterstock

В это время деревья может атаковать вторая волна грибковых заболеваний — парши, монилиоза, мучнистой росы и бурой пятнистости. Также не дремлют и вредители, которые любят полакомиться молодыми плодами.

Что нужно сделать перед обработкой сада

Чтобы борьба с болезнями и вредителями была максимально эффективной, следуйте простым рекомендациям, прежде чем приступить к опрыскиванию деревьев.

Посмотрите прогноз погоды

Если на улице идёт дождь или появился туман, обработка сада будет абсолютно бессмысленной: препараты попросту смоет водой с деревьев раньше, чем они начнут действовать. Ещё не стоит проводить опрыскивание при сильном ветре — это усложнит равномерное нанесение раствора. При этом погода в последующие два-три дня после обработки должна быть также сухой и безветренной.

Выберите лучшее время

Обрабатывать сад лучше рано утром, вечером на закате либо в пасмурную, но не дождливую погоду. Яркие солнечные лучи в сочетании с химикатами могут не только обжечь листья, но и поспособствуют быстрому испарению препаратов.

Запаситесь прилипателем

Это специальное средство разводят по инструкции и добавляют в смесь для опрыскивания. Оно помогает защитным веществам прилипнуть к веткам и листьям растения, что значительно продлевает эффект от их действия. Такие препараты продаются в садовых центрах. Обычно на упаковке так и написано — «прилипатель».

Используйте средства защиты

Готовить смеси и обрабатывать сад нужно в резиновых перчатках, защитных очках и маске, а ещё лучше — в респираторе. Так вы не дадите химикатам попасть в дыхательные пути, на кожу и слизистые.

Препараты для опрыскивания могут оставить на одежде пятна, которые не отстираются. Поэтому наденьте одноразовый халат из нетканого материала или вещи, которые не жалко испортить.

Заручитесь поддержкой соседей

Обработка сада будет максимально эффективной, если ей займётесь не только вы, но и ваши соседи. Дело в том, что болезни и вредители способны с лёгкостью распространяться с одного участка на другой. Договоритесь с соседями провести опрыскивания своих деревьев приблизительно в одно и то же время — это значительно увеличит шансы избавиться от «незваных гостей» в саду на более длительное время. А если ваш участок прилегает к лесу, стоит опрыскать и ближайшие дикие хвойные и плодовые деревья — они также могут служить источником болезней.

О каких правилах безопасности надо помнить

  • Во время приготовления растворов и опрыскивания деревьев нельзя есть, пить и курить.
  • После контактов с химикатами и обработки сада не забудьте тщательно помыть руки и лицо с мылом.
  • Для опрыскивания выбирайте только те препараты, которые разрешены для использования в саду и огороде.
  • Храните средства для опрыскивания в местах, недоступных для детей и животных, а также отдельно от пищевых продуктов.
  • Следите, чтобы домашние животные не находились рядом с вами во время опрыскивания сада, а после процедуры постарайтесь не пускать их в зоны обработки ещё сутки.
  • Для приготовления растворов возьмите отдельные ёмкости, которые в дальнейшем будут использоваться только для этих целей.
  • Откажитесь от обработки сада за 30–60 дней до планируемой уборки урожая. Конкретные сроки зависят от выбранного препарата и указаны в инструкции. Это убережёт плоды от накопления вредных веществ.
  • Перед применением препаратов внимательно читайте инструкцию и соблюдайте рекомендуемые пропорции при приготовлении раствора.

Как проводить обработку сада

Фото: Roman023_photography / Shutterstock

Опрыскивание начинают с верхушки дерева, постепенно переходя вниз, к земле. При этом нужно стараться, чтобы раствор попадал не только на верхнюю, но и на нижнюю часть листьев — именно там многие вредители откладывают яйца. Кроме того, нужно тщательно обрабатывать ветки и ствол, а также опрыскивать почву в приствольном круге.

Для обработки сада используют различные опрыскиватели. В помповых нужно периодически вручную накачивать воздух с помощью насоса — давление в баке увеличится и вытолкнет раствор наружу через распылитель. Автоматические делают эту работу за счёт встроенного аккумулятора. Можно налить раствор и в бутылку от использованного стеклоочистителя. Правда, обработка деревьев таким аппаратом будет слишком трудозатратной.

Чтобы с лёгкостью достать до верхушек деревьев, выбирайте опрыскиватели с длинной телескопической штангой — её размер можно отрегулировать.

Как правильно обработать деревья, когда почки на деревьях спят

Соберите с земли старые сухие листья и ветки. Они могут быть источником болезней, поэтому их нужно выбросить подальше от участка, а ещё лучше — сжечь. Также с помощью щётки аккуратно очистите кору деревьев от мха и лишайника. Только после этого можно приступать к опрыскиванию.

В первый раз сад обрабатывают 3-процентным раствором бордосской жидкости. Также можно использовать железный купорос из расчёта 300 г на 10 л воды. Подойдёт и мочевина — на 10 л воды нужно 700 г вещества. Из специальных препаратов можно взять фунгициды «Хорус», «Топаз» или «Скор», которые разводятся по инструкции на упаковке.

Как правильно обработать деревья, когда почки уже набухли, но листьев ещё нет

В этой стадии можно опрыскать деревья всё той же бордосской жидкостью, но уже в меньшей концентрации — 1%. Для лучшего эффекта стоит провести комплексную обработку и приготовить защитную смесь из разных препаратов. Например, возьмите «Хорус», который борется с паршой, монилиозом и мучнистой росой, и смешайте его с одним из средств-инсектицидов — «Актара», «Искра», «Танрег» или «Децис» — они защитят от насекомых.

Как правильно обработать деревья, когда на ветках появились бутоны

Третья обработка сада также должна быть комплексной и сочетать препараты от болезней и насекомых-вредителей. Для опрыскивания подойдут такие же растворы средств, что и для второй обработки: смешайте один из фунгицидов с любым инсектицидом. Если температура воздуха выше 12 градусов, то химические фунгициды («Хорус», «Топаз», «Скор») можно заменить на биологические — «Фитоверм» и «Битоксибациллин» — они становятся эффективными с наступлением тепла.

Эта обработка требует наибольшей осторожности, так как у разных культур свои сроки цветения. Например, рядом с вишней, которая только начала завязывать бутоны, может расти уже вовсю цветущая груша. Большинство препаратов может быть губительным для пчёл и других насекомых-опылителей, поэтому, опрыскивая дерево, старайтесь, чтобы растворы не попадали на цветы его соседей.

Как правильно обработать деревья, когда завязи достигли размера горошины

В стадии плодоношения проводят завершающее профилактическое опрыскивание деревьев от болезней и вредителей. Для этой процедуры подойдут всё те же смеси фунгицидов и инсектицидов, что и для предыдущей обработки. Например, возьмите «Хорус», «Топаз» или «Скор» для борьбы с заболеваниями и добавьте препарат от насекомых — «Актара», «Искра», «Танрег» или «Децис».

Информация на этой странице взята из источника: https://lifehacker.ru/obrabotka-derevev-ot-vreditelej-i-boleznej/