Ремонтировать перекрёсток на Патрокле будет подрядчик, который обновлял аллею на Сахалинской

Во Владивостоке определили подрядчика, который займётся ремонтом перекрёстка на Патрокле. Работы выполнит компания «ИнвестСтройТорг». Ранее она реконструировала перекрёсток в районе авторынка «Зелёный угол», виадуки в нескольких районах города, обновляла аллею на Сахалинской и дорогу в районе Ворошиловской батареи на острове Русском и проводила другие работы в городе.

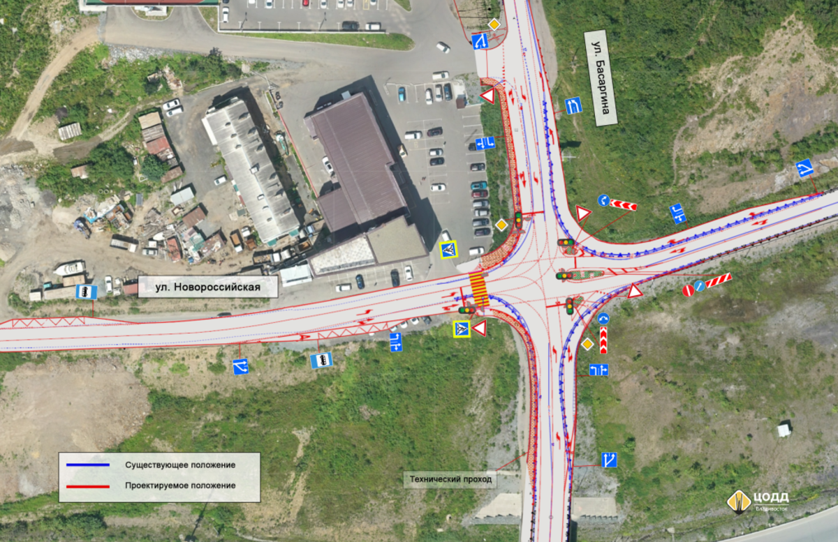
Перекрёсток в районе Патрокла должны отремонтировать до середины сентября по национальному проекту «Инфраструктура для жизни». По разработанному проекту конфигурация перекрёстка изменится: при подъезде к нему будут созданы дополнительные поворотные полосы, появится разметка из термопластичных материалов, новые знаки и светофоры. Для пешеходов здесь создадут комфортные и безопасные наземные переходы.

Как рассказали в управлении дорог городской администрации, впереди – процедура подписания контракта, после чего подрядчик сможет заняться закупкой необходимых материалов и приступить непосредственно к самим работам.

Стоимость работ по итогам торгов осталась прежней: 31 809 946,74 рубля.


Обсудить в Telegram
 — newsvl.ru
 — newsvl.ru
Информация на этой странице взята из источника: https://www.newsvl.ru/vlad/2025/03/19/230530/