Комментарии 0
...комментариев пока нет
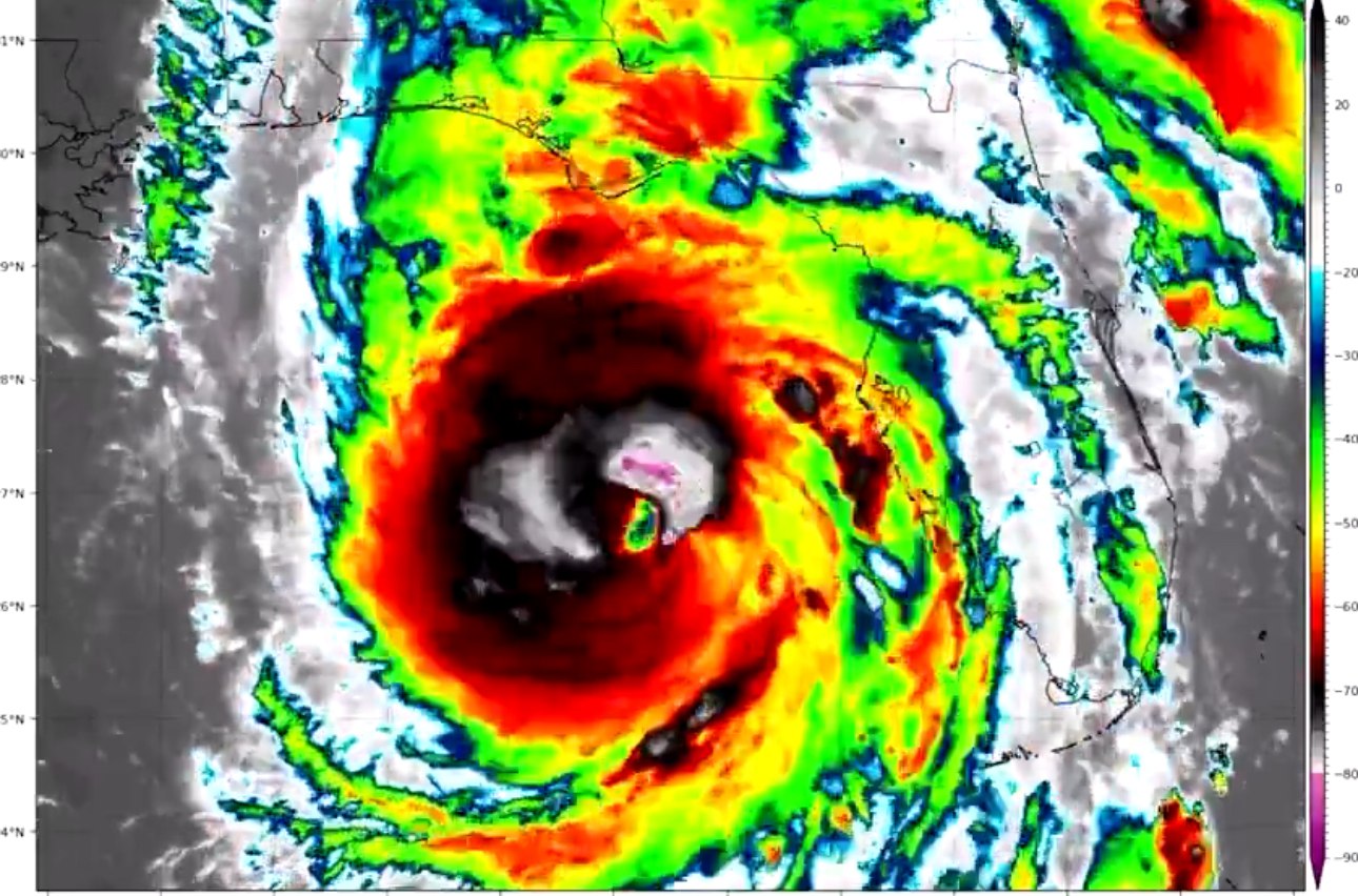
💨 Количество погибших в США в результате урагана Хелен перевалило за 60 человек
Insider Paper
More than 60 dead from storm Helene as rescue, cleanup efforts grow
Rescuers struggled on Saturday with washed-out bridges and debris-strewn roads in the search for survivors of devastating Storm Helene, which killed at